Internacional

Miami Herald: EE.UU. está listo para atacar a Venezuela en "cualquier momento"
Las fuentes consultadas aseguran que los primeros blancos serían "objetivos militares".
...
Leer más
Pastor brasileño obligaba a sus hijas a ver como violaba a sus hermanas de 6 y 7 años
Un pastor fue detenido en Brasilia, capital de Brasil, acusado de violar y torturar a cuatro niños: sus dos hijas, una hijastra y un hijastro.
...
Leer más
Netanyahu autorizó nuevos ataques aéreos en la Franja de Gaza.
La Fuerza Aérea Israelí lanzó una serie de ataques contra la ciudad de Gaza en respuesta al bombardeo de sus fuerzas en Rafah, según informó Al Jazeera, citando a la Oficina del Primer Ministro.
...
Leer más
Caos en Río: el operativo más letal contra el narcotráfico en favelas paraliza la ciudad
El megaoperativo, desplegado en los complejos de Alemão y Penha, movilizó a 2.500 policías, dejó 64 muertes y provocó represalias del narcotráfico en varios puntos de Río de Janeiro.
...
Leer másCiencia y tecnología

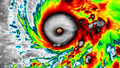
El superhuracán Melissa toca tierra en Jamaica con vientos de hasta 295 km/h
Las autoridades meteorológicas confirmaron que se esperan vientos catastróficos, inundaciones repentinas y marejadas ciclónicas en la isla.
...
Leer más
Capaz de volar durante semanas: ¿qué dicen expertos militares del misil ruso secreto Burevéstnik, de alcance ilimitado?
"De ser necesario, si existe la voluntad y la decisión políticas, Rusia podría comenzar la producción en serie del Burevéstnik con bastante rapidez", señalan expertos.
...
Leer más
La estación de radio del fin del mundo UVB-76 transmitió nuevos mensajes misteriosos
El miércoles por la noche, la estación de radio militar UVB-76, conocida como "Buzzer", transmitió una serie de mensajes inusuales compuestos por palabras crípticas.
...
Leer más
Violó a una menor en Suecia, pero la corte concluye que el acto no fue grave por su corta duración
Un tribunal dictaminó que el delito no fue lo suficientemente grave para deportar al agresor a su país de origen.
...
Leer másMéxico

Corte revierte acuerdo de Piña: ordena pago fiscal a minera por 2.8 mmdp
La Suprema Corte de Justicia de la Nación (SCJN) dejó este jueves firme la sentencia contra Primero Empresa Minera, filial de la canadiense First Majestic Silver Corp.
...
Leer más
EE.UU cancela rutas de aerolíneas mexicanas desde el AIFA, a menos de un año del Mundial
La noticia se trataría de un duro golpe para México, dado que el AIFA se ha consolidado como el principal aeropuerto de carga del país
...
Leer más
¿Qué hará Gerardo Fernández Noroña en su viaje a Palestina? Esta será su ‘misión’
El morenista aclaró que Emiratos Árabes cubrirá los gastos de su viaje como muestra de apoyo a su postura en favor de Palestina.
...
Leer más
Bernardo Bravo había denunciado extorsiones y amenazas
Bernardo Bravo Manríquez es el quinto productor de limón asesinado en poco más de un año, desde que aumentaron sus protestas contra la extorsión
...
Leer másJalisco

Policía Vial alista operativo ante "Rodada del terror"
Durante la tarde-noche del viernes 31 de octubre, la Policía Vial Jalisco implementará un operativo que incluye patrullaje y vigilancia remota de la vía pública
...
Leer más
Detectan casos de sarampión en dos escuelas de Zapopan
El secretario de Educación de Jalisco confirmó la situación y señaló que se envían a sus viviendas a los grupos donde se haya detectado un caso
...
Leer más
Detenido Oscar Antonio Álvarez el “principal operador financiero” del CJNG en el aeropuerto de Ciudad de México
Óscar Antonio Álvarez, acusado de delincuencia organizada, es señalado como el principal lavador de dinero del Mencho, líder de la organización criminal
...
Leer más
Asesinan a hombre cercano al alcalde de Tlajomulco Gerardo Quirino Velázquez
El empleado del Ayuntamiento de Tlajomulco que fue asesinado el miércoles en el Fraccionamiento Rinconada de la Cruz era cercano a la familia del Presidente Municipal, Gerardo Quirino Velázquez.
...
Leer másEspectáculos

El príncipe Andrés es despojado de sus títulos e intimado a abandonar su residencia real
El duque de York renunció previamente a sus títulos y honores reales ante las acusaciones de haber tenido vínculos con el delincuente sexual Jeffrey Epstein.
...
Leer más
Kim Kardashian compartió actualización sobre su diagnóstico de aneurisma cerebral
La semana pasada, la empresaria estadounidense reveló su diagnóstico en un adelanto de la séptima temporada de The Kardashians
...
Leer más
Fallece Ace Frehley, legendario guitarrista de KISS
El músico murió a sus 74 años. Paul Daniel Frehley, más conocido como Ace Frehley, legendario guitarrista y fundador de la banda estadounidense KISS, falleció este jueves en Morristown, Nueva Jersey, ...
Leer más
Muere la leyenda de cine Diane Keaton, ganadora de un Oscar
La actriz saltó a la fama en la década de 1970 gracias a su papel en las películas 'El Padrino' y a sus colaboraciones con el director Woody Allen.
...
Leer másDeportes

De promesa del automovilismo español a confesar un parricidio: lo que se sabe del caso de Antolín González
El joven de 23 años se ha puesto a disposición para colaborar con la justicia, pero hay cuestiones que no terminan de convencer a los investigadores sobre lo ocurrido el pasado 5 de julio en una almac...
Leer más
Dodgers empatan la Serie Mundial guiados por un inspirado Yoshinobu Yamamoto
Tras una noche de pesadilla, los Dodgers reciben nueva joya de pitcheo del japonés Yamamoto para empatar la Serie Mundial, la cual se traslada a Los Ángeles
...
Leer más
Messi es elegido el mejor jugador de la última jornada de la MLS
Con tres goles y una asistencia, el astro argentino se llevó la distinción como el mejor jugador de la semana, unos días después de ganar la Bota de Oro
...
Leer más
Javier Aguirre reconoce que la posición de portero lo tiene con dudas
El director técnico del equipo tricolor estableció que el juego de este martes será una prueba de cara a la Copa del Mundo
...
Leer más