Web Analytics Made Easy - Statcounter
Editor

Editor

De acuerdo con la agencia estadounidense, la operación inició en 2024, durante una visita del general de brigada Bitner Villegas a República Dominicana.

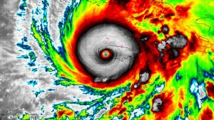
Las autoridades meteorológicas confirmaron que se esperan vientos catastróficos, inundaciones repentinas y marejadas ciclónicas en la isla.

El joven de 23 años se ha puesto a disposición para colaborar con la justicia, pero hay cuestiones que no terminan de convencer a los investigadores sobre lo ocurrido el pasado 5 de julio en una almacén de Aranda de Duero.

Tras una noche de pesadilla, los Dodgers reciben nueva joya de pitcheo del japonés Yamamoto para empatar la Serie Mundial, la cual se traslada a Los Ángeles

Dos sospechosos fueron arrestados este sábado en relación al robo de las joyas del museo Louvre en París.

"De ser necesario, si existe la voluntad y la decisión políticas, Rusia podría comenzar la producción en serie del Burevéstnik con bastante rapidez", señalan expertos.

LA HAYA, 22 oct (Reuters) -El máximo órgano judicial de las Naciones Unidas, la Corte Internacional de Justicia (CIJ), emitió el miércoles una opinión consultiva sobre las obligaciones de Israel para con las organizaciones de ayuda humanitaria de la ONU y otras que intentan trabajar en Gaza y Cisjordania.

El secretario de Defensa de EE.UU., Pete Hegseth, detalló que este fue el primer ataque nocturno que realizan contra un bote que aparentemente llevaba drogas

Óscar Antonio Álvarez, acusado de delincuencia organizada, es señalado como el principal lavador de dinero del Mencho, líder de la organización criminal

El empleado del Ayuntamiento de Tlajomulco que fue asesinado el miércoles en el Fraccionamiento Rinconada de la Cruz era cercano a la familia del Presidente Municipal, Gerardo Quirino Velázquez.